
Expeditions-Blog vom Forschungsschiff SONNE
Der WWU-Geologe Prof. Dr. Harald Strauß war für rund viereinhalb Wochen an Bord des Forschungsschiffs SONNE. Gemeinsam mit 38 weiteren Wissenschaftlerinnen und Wissenschaftlern untersuchte er Unterwassergeysire ("Schwarze Raucher") zwischen Neukaledonien und Australien. In diesem Blog berichtet er von der Fahrt. Jetzt ist er wieder zu Hause angekommen und verabschiedet sich mit einem herzlichen Dankeschön von allen Leserinnen und Lesern.
Für alle, die noch mehr erfahren möchten: Am Dienstag, 21. Februar, 19 Uhr, berichtet Harald Strauß bei der Vortragsreihe "Geologen unterwegs" des Geomuseums über "Heiße Quellen und blühendes Leben am Meeresboden - mit dem Tauchroboter unterwegs". Zu diesem allgemein verständlichen Vortrag sind alle Interessierten herzlich eingeladen; der Eintritt ist frei. Ort: Hörsaal F 043 im Fürstenberghaus, Domplatz 20-22.
27. Januar 2017
Ich bin wieder zurück in Münster, verdaue noch die lange Rückreise und den damit verbundenen Jetlag. Nun gilt es, wieder in den Alltag zurückzufinden. Ein herzliches "Hallo und Willkommen zurück" im Institut und von den Studierenden ist verknüpft mit der Frage, wie es denn so war. Die Antwort ist leicht – einfach toll! Wissenschaftlich war es total spannend, und das gemeinsame Miteinander und die vielen Eindrücke vom Leben an Bord haben mein Leben definitiv bereichert. Wie geht es nun weiter?
Ende März kommen die Container in Bremen an, und unsere Laborausrüstung und die letzten Proben müssen dann nach Münster geholt werden. Damit schließt sich dieses erste Kapitel spannender Forschung an den Unterwassergeysiren am Kermadec-Inselbogen nördlich von Neuseeland.
Ich möchte diesen Eintrag schließen mit einem großen Dankeschön an den Kapitän und die Besatzung des Forschungsschiffes SONNE und an das ROV-Team vom Marum in Bremen für die geleistete Arbeit, an Besatzung und Wissenschaftler für das tolle Miteinander an Bord, an das Bundesministerium für Bildung und Forschung für die Finanzierung, und an Sie, die Leser, für Ihr Interesse an der Expedition zu den Unterwassergeysiren am Kermadec-Inselbogen, Neuseeland.
21. Januar 2017
Es ist 5:30, und ich stehe auf dem Peildeck. In der Ferne vor uns glitzert und blinkt das nächtliche Auckland. Der gelb-orange-rote Himmel kündigt den nahenden Tag an. Im Dämmerlicht erkenne ich links voraus Rangitoto, eine Vulkaninsel direkt gegenüber der Stadt, zahlreiche weitere Vulkankegel befinden sich im Stadtgebiet. Um kurz vor 6:00 setzt sich ein Motorboot längsseits neben die SONNE, und während der Fahrt steigt der Lotse zu, ein ganz normales Manöver.
Wir fahren vorbei an den vorgelagerten Inseln in Richtung Hafen. Inzwischen sind viele Mitfahrer auf dem Peildeck. Gemeinsam wollen wir das Einlaufen verfolgen. Die aufgehende Sonne strahlt die Skyline von Auckland an, aus welcher der Sky-Tower heraussticht. Vorne auf dem Schiff macht die Besatzung in der Zwischenzeit die Leinen klar für das spätere Anlegen.
Wir fahren vorbei am Containerterminal. Inzwischen hat sich ein Schlepper achtern an die Backbordseite gesetzt. Er wird das Manövrieren beim Anlegen unterstützen. Und dann dreht die SONNE ein an die Pier der Bledisloe Wharf. Wir liegen am Rande des Container-Terminals. Fußläufig, direkt gegenüber, beginnt bereits die Innenstadt. An der Pier warten schon ein großer Autokran und weitere Fahrzeuge, um die Container vom Schiff zu nehmen.
Nun also ist die Fahrt endgültig beendet. Während wir beim Frühstück sitzen, kommen Einwanderungsbehörde, Zoll, das Amt für Biologische Sicherheit und der Hafenagent an Bord. Erst müssen alle Formalitäten erledigt sein, bevor Personen oder Güter das Schiff verlassen dürfen. Wir werden in den Besprechungsraum für die Passkontrolle gebeten, haben zuvor unsere Einreisekarte und die Zolldeklaration ausgefüllt. Nun habe ich einen Einreisestempel mit Visum für Neuseeland in meinem Pass. Aber an Land gehen wird noch dauern, denn am Vormittag gibt es noch einiges zu tun.
Nach der Personenabfertigung werden die Container und vor allem unsere Proben für die Ausfuhr vorbereitet. Probenlisten werden übergeben, und wir bekommen die Dokumente zur Ausfuhr, welches zugleich ihre Unbedenklichkeit bestätigt. Nachdem alle Papiere ausgestellt worden sind, verstauen wird die letzten Paletten mit unseren Probenkisten und den Gefahrstoffen in den Containern. Die Türen werden geschlossen und alle drei Container bekommen eine Zollplombe.
Inzwischen hebt der Autokran bereits die Container mit dem Tauchroboter QUEST über die Reeling. Interessiert beobachten wir die ganzen Tätigkeiten, für die Hafenarbeiter ist es professionelle Routine. Um 11:00 haben wir noch einen wichtigen Termin. Vor allem die biologischen Proben, aber auch unsere Fluidproben werden gekühlt oder gefroren per Luftfracht zurück nach Deutschland transportiert. Ein kleiner LKW fährt vor mit entsprechenden Thermobehältern, Kühlpacks und Trockeneis. Wir verpacken alles sorgfältig, die Firma garantiert eine lückenlose Kühlkette bis in die Heimatinstitute. Die Proben werden noch vor uns in Deutschland sein.
Am Mittag verlassen uns bereits unsere neuseeländischen Kollegen. Nun heißt es ein erstes Mal jetzt Abschied nehmen.
Dann endlich gehen auch wir von Bord. Ein Bus bringt uns durch das Hafengebiet zum Ausgang. Wir müssen unseren Reisepass vorzeigen, dann betreten wir offiziell Neuseeland. Manche haben das Gefühl, das Schaukeln des Schiffes noch auf den ersten Metern an Land zu spüren. In kleineren Gruppen erkunden wir Auckland.
Nun also ist die Forschungsfahrt SO253 HYDROTHERMADEC beendet. Für gut vier Wochen hat sich eine Gruppe von Wissenschaftlern aus Deutschland, Neuseeland, den USA und Frankreich zusammengefunden. Gemeinsam haben wir die Unterwassergeysire und ihre Lebensgemeinschaften am Kermadec Inselbogen untersucht und beprobt. Wir sind über die Wochen zusammengewachsen. Zu den spannenden wissenschaftlichen Eindrücken der Fahrt mischen sich die gemeinsamen Erlebnisse und die schöne Zeit an Bord. Nun kehren wir wieder an unsere Universitäten und Forschungsinstitute zurück. Aber die Bearbeitung der Proben wird uns für Monate und Jahre immer wieder zusammenbringen.
Die Nacht werden wir noch auf dem Schiff verbringen, gehen erst morgen ins Hotel. Die Rückflüge der meisten Fahrtteilnehmer sind für den 23. oder 24. Januar gebucht. Manche schließen noch einen Urlaub an, und für zwei Personen geht es sogar gleich weiter zu einer Tagung in Tasmanien. Mein Rückflug ist auch erst am 24. Januar, Zeit für einen Ausflug zu den heißen Quellen von Rotorua.
20. Januar 2017
Heute früh werden wir wieder mit Sonnenschein begrüßt. Aber die See ist noch immer rau, die blauen Wellen sind mit Schaumkronen bedeckt. In der Messe auf dem 4. Deck sprüht immer wieder das Wasser an die Scheibe.
Nach dem Kaffee treffen wir uns ein letztes Mal in großer Runde. Eine erste Zusammenschau der wissenschaftlichen Ergebnisse soll in Kurzpräsentationen vorgestellt werden. Den Beginn aber macht Marcel vom ROV-Team. Er hat aus den langen Videosequenzen der 19 Tauchgänge ein "Best of –Video" zusammengeschnitten. Und so erleben wir nochmals die Highlights dieser tollen Forschungsfahrt. Alle sind total begeistert, Applaus und vielen Dank!
Nach der ersten Zusammenschau der Ergebnisse etwa zur Halbzeit der Fahrt bestärken uns die Kurzvorträge heute einmal mehr in unserer Überzeugung, die wissenschaftlichen Erkenntnisse über den Hydrothermalismus am Kermadec Arc ein Stück weit voranbringen zu können. Wir haben einen fantastischen Probensatz bekommen: diffuse und heiße hydrothermale Fluide, Gesteine, Sulfiderzbrocken und die biologischen Proben. Forschungsarbeit für die kommenden Jahre. Der Vorschlag für ein nächstes Treffen im Herbst in Bremen wird besprochen, um dann bereits die ersten Ergebnisse aus den Heimatlaboren zu diskutieren. Auch zwei der neuseeländischen Kollegen werden dann wohl in Deutschland sein.
Nach dem Abendessen steht das Finale des Tischtennis-Turniers auf dem Programm. Wir haben die letzten Wochen insgesamt zehn Runden gespielt, immer in wechselnder Zusammensetzung. Und das Finale wird heute am Abend vor großem Publikum ausgetragen. Alle haben Spaß. Dann, gegen 20:30 ruft jemand: Land in Sicht. Und in der Tat sind am Horizont die ersten Inseln vor Auckland zu sehen. Nun ist der letzte Abend der Reise wirklich angebrochen. Die Labore sind verpackt und gesäubert. Ich werde meine Mitstreiter im Labor vermissen: Annika, Charlotte, Jan und Nico, vielen Dank für die tolle gemeinsame Zeit!
Grau in grau begrüßt uns der Morgen, die See ist rau, der Himmel wolkenverhangen. Die SONNE stampft durch die See in Richtung Auckland. Packen ist angesagt. Man könnte jetzt denken, dass das doch eigentlich sehr einfach ist, weil ja alles von Bord muss. Aber wir haben ja auf den Frachtlisten die Inhalte unserer zahlreichen Alukisten aufgelistet. Unsere Laborausrüstung und die restlichen Verbrauchslisten sollten also ihren Weg in die richtigen Kisten finden. Eigentlich zumindest. Am Morgen unserer Ankunft werden der Zoll und eine neuseeländische Behörde für Bio-Sicherheit an Bord kommen und – zumindest stichpunktartig – in die eine oder andere Kiste schauen und sie mit den Listen vergleichen. Gefahrstoffe und Proben sind sowieso getrennt in Kisten verpackt. Zwischendurch sieht es in unserem Labor ziemlich chaotisch aus mit zahlreichen offenen Kisten, manche leer, manche halb voll oder voll. Aber am Nachmittag ist schon viel geschafft.
Am Abend macht uns unser neuseeländischer Kollege Cornel verschiedene Vorschläge für touristische Aktivitäten in Auckland, der näheren oder der etwas ferneren Umgebung von Auckland. Manche bleiben noch ein oder zwei Tage länger, andere haben einen mehrtägigen Urlaub angeschlossen. Eine kleine Gruppe von uns wird nach Rotorua fahren, heiße Quellen, Geysire und Schlammvulkane etwa drei Stunden mit dem Auto entfernt. Wir bleiben also quasi beim Thema.
Wir lauschen dem lebhaften Vortrag, Getränke rutschen über den Tisch, das Auf und Ab des Schiffes. Während des Vortrags von Cornel gibt es dann die Ansage von der Brücke, auf dem 2. und 3. Deck die Bullaugenklappen zu schließen. Auch das Tor des Hangars ist schon geschlossen. Durch die Fenster sieht man die raue See.
Am späten Abend beruhigt sich die See ein wenig. Das Deck kann wieder betreten werden. Ich steige ganz nach oben. Der Wind pfeift ordentlich, hat aber auch die Wolken des Nachmittags und frühen Abends weggeblasen. So stehe ich auf dem Peildeck unter einem grandiosen Sternenhimmel. Das Kreuz des Südens ist klar zu erkennen. Ein wunderbarer Ausklang des Tages.
18. Januar 2017
Ein wenig wehmütig stehen wir auf dem Achterdeck hinter der Absperrkette. Das ROV QUEST schwebt herein, wird abgesetzt und festgemacht. Für diese Ausfahrt, für SO253, war es der letzte Einsatz. Applaus als die Kette fällt und wir unsere letzten Proben abholen dürfen. Ein erster Dank an das ROV-Team im Vorbeigehen, denn zunächst müssen die Proben im Labor bearbeitet werden. "First the chemistry, then the beer – erst die Arbeit, dann das Vergnügen", meint die neuseeländische Kollegin Valerie sehr richtig. Und so verschwinden wir zunächst in die Labore und die abendliche Geschäftigkeit setzt ein. Zwischendurch werfe ich einen Blick auf die Gesteinsproben und erinnere mich an die Bilder des heutigen Tauchgangs.
Das ROV landete zunächst am Westrand des Caldera-Bodens in 1865 m Wassertiefe. Der Meeresboden ist von gelblichem Sediment bedeckt, Wellenrippeln bezeugen die Existenz einer Tiefenströmung. Große Gesteinsbrocken sind offensichtlich von der benachbarten Calderawand herabgestürzt.
Drei Ziele wollen wir auf diesem letzten Tauchgang anfahren: einen relativ steilen Bereich am Westrand der Caldera, der uns die Vererzungszone erschließt, den Wald heißer Schwarzer Raucher, den wir bereits einmal besuchten, und erneut das Muschelfeld.
Unser erstes Ziel, die Vererzungszone, bietet uns Einblicke in den Untergrund unterhalb der Schwarzen Raucher und des Massivsulfidhügels. Das Gestein ist von Adern und Gängen durchzogen, dazwischen stark hydrothermal alterierte Bereiche und dann wieder deutliche Sulfidvererzungen. Der steile Hang erlaubt uns, den Aufbau in einem Profil genau zu betrachten und zu beproben. Und um das Bild komplett zu machen, entdecken wir am oberen Ende der Stufe, quasi oberhalb dieser Vererzungszone, noch zwei kleine aktive und mehrere inaktive Schwarze Raucher. Unser neuseeländischer Kollege Cornel ist ganz begeistert von dem Anblick. Lehrbuchmäßig ist diese Struktur hier aufgeschlossen.
Am Nachmittag kehren wir noch ein letztes Mal zu den Schwarzen Rauchern in der nordwestlichen Caldera am Brothers-Vulkan zurück. Die Auswahl an rauchenden Schornsteinen ist groß, wir müssen uns nur entscheiden. Das ROV wird entsprechend positioniert, und dann werden nach und nach die verschiedenen Probenahmegefäße gefüllt. Das austretende Fluid hat eine Temperatur von 300°C, das werden tolle Proben sein. Am Schluss wird noch ein Teil des aktiven Schornsteins zur Fluidprobe mitgenommen.
Letzter Stopp: Muschelfeld. Die Symbiosegruppe um Christian Borowski vom Max-Planck-Institut für Marine Mikrobiologie in Bremen benötigt für die volle Breite der von ihnen geplanten Untersuchungen noch einige Muscheln der dort lebenden Art Vulcanidas insolatus. Die lassen sich mit dem Muschelnetz gut beproben, und natürlich gibt es noch reichlich Beifang. In-Situ Messungen der Temperatur und Gaszusammensetzung runden das Bild ab.
Aber dann heißt es: "Auftauchen!" Das ROV steigt auf, die hydrothermal geprägte Landschaft am Meeresboden verschwindet aus unserem Blick, schnell umgibt uns nur noch blaues Wasser.
Wieder an Deck erkennen wir, dass alle Möglichkeiten der Probenahme und des Probentransportes ausgeschöpft sind: verschiedenste Gesteins- und Erzproben, die Fluide und einige Netze mit Muscheln in der Bio-Box. Der Tauchgang hat sich noch einmal gelohnt. Alle verschwinden zufrieden in den Laboren.
Jetzt, so gegen 2:00 nachts, sind die meisten Arbeiten abgeschlossen. Zeit, anzustoßen auf einen erfolgreichen letzten Tauchgang. Die SONNE dampft bereits in Richtung Auckland.
17. Januar 2017
Wir sind wieder am Brothers-Vulkan, haben das Arbeitsgebiet bei Rumble III noch gestern Nacht wieder verlassen. Die CTD-Tow-Yo in der Nacht vom 15. auf den 16. Januar hatte zwar einerseits hydrothermale Signaturen in verschiedenen Tiefen der Wassersäule im Bereich des Rumble-III-Vulkans gefunden, andererseits aber dennoch keine wirkliche eindeutige Quelle identifiziert. Demzufolge wurde der gestrige zweite Tauchgang in Rumble III nochmals der Exploration gewidmet, aber Schwarze Raucher wurden nicht gefunden. Ein paar Gesteinsproben, sogar kleine Brocken elementaren Schwefels wurden geborgen. An einem diffusen Fluidaustritt wurden ebenfalls Proben genommen. Aber auf der nachmittäglichen Sitzung gestern herrschte doch die Meinung vor, dieses Gebiet noch am Abend zu verlassen und nach Brothers zurückzukehren. Dort sind zahlreiche Unterwassergeysire bekannt, "da weiß man, was man hat!"
Der Transit wurde genutzt, um außerhalb der hydrothermalen Felder zu stoppen, um mit der CTD über eine Tiefe von 2000 m verteilt Wasserproben zu nehmen. Dies ist eine Hintergrundstation für unsere chemische Analytik, unbeeinflusst von hydrothermaler Aktivität.
Heute wurde dann wieder in der nordwestlichen Caldera getaucht. Das ROV Quest landete am Morgen quasi direkt auf einem Feld von Schwarzen Rauchern. Vertraute Bilder, aber noch immer faszinierend. Mehrere große inaktive Schornsteine bilden den Rahmen, manche reichen fast 20 m in die Höhe. Im Vordergrund sind mehrere kleine Schornsteine zu sehen, an deren Spitze schwarzer Rauch austritt. Dazwischen umgestürzte Schornsteine. Wenige Schornsteine sind von Garnelen besetzt. Das gesamte Ensemble steht auf einem Hügel aus Sulfiderz.
Hier sind wir richtig für eine Probenahme nach bekannten Muster: ein Stück des aktiven Schornsteins bergen und mehrere Proben des heißen austretenden Fluids nehmen. Die starke Strömung ist für die Beprobung anfangs eine Herausforderung, aber die Erfahrung der ROV-Piloten macht es möglich, gute Proben zu bekommen.
Am Nachmittag wird noch ein Muschelfeld besucht und ebenfalls beprobt. Leider sind es nicht die großen Gigantidas gladius. Aber man ist auch so zufrieden. Und am Abend werden in einer Sedimentprobe noch zahlreiche weitere Tiere gefunden. Und das Sediment stinkt nach Schwefelwasserstoff – wunderbar!
Die Zeit rennt! Morgen ist bereits der letzte Tauchgang des ROV. Das Programm ist klar: nochmals heiße Fluide und biologische Proben. Aber auch ein bestimmter Abschnitt der hydrothermalen Vererzung hier am Brothers-Vulkan soll kartiert und beprobt werden. Alle sind gespannt, aber auch ein wenig Wehmut ist schon dabei.
15. Januar 2017
Rumble III, unser viertes Arbeitsgebiet, ist erreicht. In der vergangenen Nacht wurde zunächst die Vulkanstruktur kartiert. Und unsere neue Karte des Meeresbodens sieht deutlich anders aus als die, die wir zuvor hatten. Der ehemalige Vulkankegel ist in großen Teilen verschwunden. Eine fächerförmige Struktur vom Zentrum aus in südwestliche Richtung deutet daraufhin, dass zumindest ein Teil des Vulkankegels zerbrochen und abgerutscht ist. Und im Zentrum des ehemaligen Vulkankegels, so das Ergebnis der nächtlichen Kartierung, ragt jetzt eine mehrere Zehnermeter hohe Struktur in die Wassersäule hinein. Es ist das Gesprächsthema am Frühstückstisch.
Die neuseeländischen Kollegen bestätigen, dass sich seit Beginn ihrer Beobachtungen in den späten 1990ern die Karte des Meeresbodens mehrfach geändert hat. Sie sprechen von einem sehr dynamischen System und vermuten, dass es zwischen 2011 und heute eine untermeerische Vulkaneruption gegeben haben könnte bzw. gegeben haben müsste, denn seismische Daten deuteten dies ebenfalls an. Und auch der Vulkankegel, den wir noch auf der Karte von 2011 sahen, ging auf eine relativ junge Eruption zwischen 2007 und 2011 zurück. Unsere neue Meeresbodenkarte hat auf jeden Fall ein erstes Ziel des heutigen Tauchgangs definiert.
Die Unterwasserbilder des ROVs bestätigen die Hinweise aus der Kartierung. Der Hang in Richtung Vulkanzentrum ist bedeckt mit Geröllmassen. Und die massive Struktur, die im Fächerecholot so deutlich herausgekommen war, zeigt sich uns durch steile Kanten mit Vulkangestein.
Unsere Route führt im Halbkreis um die zentrale Vulkanstruktur herum. Verschiedenste Lavastrukturen werden sichtbar, teilweise deutlich alteriert. Immer wieder sind Spalten mit gelbem Schwefel gefüllt, haben das Gestein teilweise mit Schwefel imprägniert. Blockig zerrissenes Material deutet auf den Kollaps des Vulkangebäudes hin. Aber auch immer wieder sehen wir Bereiche mit rötlich-braunen Überzügen auf den Gesteinen, sie deuten auf den Austritt hydrothermaler Lösungen hin. Schwarze Raucher finden wir nicht, aber am Nachmittag entdecken wir den Austritt diffuser hydrothermaler Lösungen, sogenanntes Schimmerndes Wasser. Dichter weißer flauschig-flockiger Bewuchs von Bakterienmatten war bereits von Weitem zu sehen. Hier nehmen wir Fluidproben. Die Temperatur ist 25° Celsius, etwa 10° wärmer als das Umgebungswasser. Nach der erfolgreichen Fluidbeprobung werden auch noch die Bakterienmatte und das Gestein beprobt. Danach besteht noch Zeit für weitere Exploration des Meeresbodens hier in Rumble III. Wir fliegen durch eine hydrothermale Wolke, sehen die Trübe. Irgendwo muss es eine große Austrittsstelle, ggf. einen Schwarzen Raucher geben.
Das Nachtprogramm wird aus CTD-Tow-Yo und vertikaler CTD bestehen, um die Position der hydrothermalen Wolke und ihre Ausdehnung in der Wassersäule zu bestimmen und uns damit ein nächstes Ziel für die Exploration mit dem Tauchroboter zu liefern.
14. Januar 2017
Wir tauchen ein weiteres Mal am Brothers-Vulkan, heute am Westrand der Caldera. Auch dieser Bereich wurde bisher noch nie mit einem Tauchroboter besucht. Aufgrund von früheren Daten aus der Wassersäule gibt es mehrere Ziele mit der Hoffnung auf aktive Hydrothermalsysteme. Nach den letzten beiden erfolgreichen Tagen sind unsere Erwartungen hoch. Das ROV fliegt über einem kleinen Plateau in knapp 1600 m Wassertiefe. Es ist eigentlich eher eine Stufe, die nach Westen hin von einer Steilkante begrenzt wird und nach Osten in die Caldera abfällt. Eindrucksvolle Gesteinsabfolgen sind zu sehen, aber keine Anzeichen hydrothermaler Aktivitäten. Auch das ist Exploration. Wertvolle Daten zum Aufbau der Caldera werden erbracht, aber nicht immer gibt es spektakuläre Bilder von Schwarzen Rauchern.
Am späten Nachmittag kehren wir nochmals in die NW Caldera zurück. Hier wissen wir ja, dass es Schwarze Raucher gibt. Und diese lassen nicht lange auf sich warten. Wiederum faszinieren uns die Bilder auf der Tiefe: bizarr geformte Schornsteine, manche aktiv, viele inaktiv. Wir finden eine gute Stelle und können nochmals Fluide beproben.
Die Zeit läuft, aber wir haben noch einen wichtigen Programmpunkt. Die Heizdecken zur Messung des Wärmeflusses wurden vorgestern ausgelegt. Die müssen jetzt noch eingesammelt werden, denn es ist unser letzter Tag hier am Brothers-Vulkan. Auf unserer nachmittäglichen Besprechung wurde beschlossen, direkt nach dem das ROV an Deck ist Kurs auf unser letztes Arbeitsgebiet zu nehmen: Rumble III.
Es ist schon spät, als der Tauchroboter an Deck ist. Ein langer Tag geht für das ROV-Team zu Ende, vielen Dank.
13. Januar 2017
Die nordwestliche Caldera am Brothers-Vulkan hält uns weiter in ihrem Bann. Gestern und auch heute tauchen wir dort, und die Kameras am Tauchroboter QUEST zeigen uns immer wieder neue Ansammlungen von hydrothermalen Schornsteinen, mal klein, mal groß, und sehr verschieden in ihren Formen. Wir gleiten durch diese unwirklich erscheinende Unterwasserlandschaft, die manche vor der Leinwand im Besprechungsraum an einen Science-Fiction-Film erinnert. Zumeist sind sie von einer rotbraunen Schicht oxidierter Minerale überzogen, häufig ist die Spitze weiß oder schwarz gefärbt, und hydrothermales Fluid strömt aus.
Das ROV steigt langsam die steile Caldera-Wand aufwärts, erreicht zwischendurch ein eher flacheres Plateau. Hier ist noch niemand zuvor mit einem Tauchroboter gewesen. Der Boden ist übersäht mit Gesteinsbruchstücken: Zumeist sind es alterierte Vulkanite, die von einer höheren Stufe der Caldera-Wand heruntergefallen sind. Bei näherem Hinsehen entpuppen sich viele der Blöcke aber als inzwischen oxidierte massive Sulfide. Der Form nach sind es ehemalige Schwarze Raucher. Das macht Hoffnung auf aktive Schornsteine über uns. Die CTD-Tow-Yos vergangener Nächte haben in dieser Region deutliche Anzeichen für eine hydrothermale Wolke in der Wassersäule gefunden. Die Indizien passen zusammen.
Und dann tauchen sie auf, zunächst schemenhaft am Bildrand. Individuelle Schornsteine pumpen schwarzen Rauch aus ihren Spitzen. Dann taucht ein großer Hügel auf – massives Sulfid. Hier müssen einstmals große Mengen an hydrothermalem Fluid ausgetreten sein. In direkter Nachbarschaft aktive Schornsteine. Zeit, Fluidproben zu nehmen. Und dann, bereits beim Auftauchen und der beginnenden Rückkehr, erscheint ein riesiger Turm im Bild. Das ROV ist bereits 18 m über Grund und blickt geradeaus auf den Schornstein. Die Vermessung der Höhe ergibt 20 m. Unser neuseeländischer Kollege Cornel ist total begeistert. Solch eine Struktur ist hier noch nicht gesehen worden.
Was uns jedoch verwundert ist die Tatsache, dass trotz der sehr intensiven hydrothermalen Aktivität vergleichsweise wenige Tiere an den Austrittsstellen zu sehen sind. Wenige Garnelen, ab und an größere Krebse, aber keine Muscheln. Und dann werden unsere Biologen an Bord doch noch belohnt. An einem kleinen Sulfidhügel sehen wir unter einem Überhang eine Ansammlung von Muscheln. Eine kleine Sensation, bisher waren keine hydrothermalen Muscheln vom Brothers-Vulkan beschrieben. Die austretenden warmen Fluide werden gemessen, um die Lebensbedingungen zu charakterisieren. Danach werden einige Muscheln mit einem Netz beprobt.
Und so treffen sich am Abend wieder alle auf dem Achterdeck, um die Proben vom ROV in Empfang zu nehmen. Die Laborarbeit kann beginnen.
Der Tag hat gut begonnen mit einem Geburtstagsständchen für eine Kollegin im Labor und gut geendet: Ein erfolgreicher Tauchgang mit spektakulären Bildern von unzähligen aktiven und inaktiven Schwarzen Rauchern in der Nordwest-Caldera am Brothers-Vulkan liegt hinter uns. Und natürlich gab es auch gute Fluidproben. Einzig die Symbiose-Gruppe um Christian Borowski vom Max-Planck-Institut für Marine Mikrobiologie in Bremen hat leider keine neuen Muschelproben bekommen. Aber der Reihe nach …
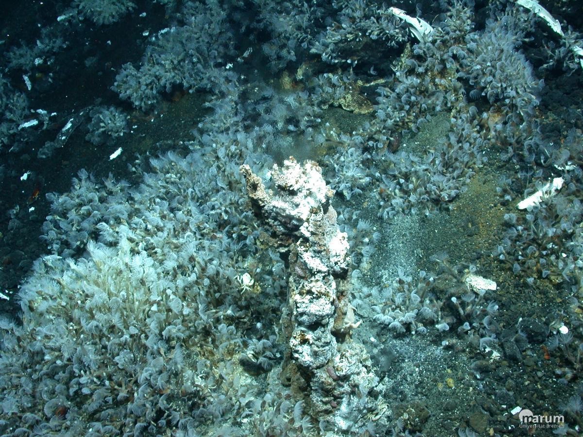
Wir tauchen erneut am Brothers-Vulkan, unserem dritten Arbeitsgebiet. Heute sind wir in den Nordwesten der großen Caldera gefahren, hoffen auf deutlich weniger Strömung am Meeresboden. Dieser liegt in gut 1700 m Wassertiefe. Das erste Bild zeigt bereits rötlich-bräunlich gefärbtes Sediment, ein klares Zeichen für hydrothermale Alteration. Und dann, nach nur 10 Minuten am Boden, tauchen im Hintergrund des Bildes große säulenförmige Strukturen auf. Dann wird das Kamerabild klarer: etwa ein Dutzend Schwarzer Raucher erheben sich vom Meeresboden, alle so zwischen 6 und 7 m hoch, aber auf den ersten Blick inaktiv. Bei näherem Hinsehen tauchen im Vordergrund kleinere Raucher auf. Gelblich-braune Färbung auf den Seiten entpuppt sich als dichter flauschiger Bewuchs von Bakterienmatten, und dann sehen wir auch das austretende schimmernde Wasser. Und im Hintergrund sind plötzlich weitere Schornsteine zu erkennen. Hier sind wir richtig, sagen sich alle im Besprechungsraum vor der Großbildleinwand. Ein Aufatmen vor allem von uns Fluidgeochemikern, denn hier wird es wieder interessante heiße Fluide zu beproben geben.
Unser Blick wird gefangen von einer seltsamen Struktur. Säulenförmig erhebt sie sich etwa 8 m vom Meeresboden aus. Aber wirklich seltsam sind zwei nadelförmige Spitzen, beide nochmal etwa 2 m hoch, die auf der Struktur gewachsen sind. Sie geben dem Schornstein eine sehr ungewöhnliche Form, aus der Ferne betrachtet. Schnell ist ein Name gefunden: Devils Chimney – der Schornstein des Teufels. Aus beiden Nadeln strömt Fluid aus, es ist weitestgehend klar. Einige rosa gefärbte Garnelen sitzen seitlich am Schornstein. Aus der Nähe erkennen wir, dass es zwei einzelne Säulen sind, jeweils mit einer solchen nadelförmigen Spitze.
Die Probenahme beginnt. Wir entscheiden uns für die rechte Struktur. Das oberste Stück des Schornsteins wird mit dem Arm des ROVs abgebrochen und vorsichtig in die Probenbox des Tauchroboters gelegt. Gemeinsam mit dem Fluid wird es nun möglich sein, die chemische Zusammensetzung und Temperatur des hydrothermalen Fluids mit der Mineralzusammensetzung zu vergleichen. Auf diese Art und Weise lassen sich die Bildungsbedingungen charakterisieren. Durch das Abbrechen der Spitze hat sich die Austrittsstelle vergrößert, und das heiße Fluid strömt deutlich stärker heraus als zuvor. Nun haben wir eine Öffnung von etwa 5 cm Durchmesser, um mit den verschiedenen Probenahmegeräten das hydrothermale Fluid zu beproben. Trotzdem ist es eine Herausforderung für die Piloten des ROVs, denn der Tauchroboter steht frei in der Wassersäule in etwa 8 m Höhe und muss so ruhig wie möglich gehalten werden, um eine gute Probenahme zu ermöglichen. Nach und nach werden drei verschiedene Gefäße gefüllt und die Temperatur gemessen: 248 °C.
Unser weiterer Weg führt uns durch einen "Wald von hydrothermalen Schornsteinen" mit teilweise bizarren Formen. Immer wieder kommt ein neuer Name in den Sinn: das Einhorn, die Pagode oder der Weihnachtsbaum. Bei anderen wiederum sprudelt hydrothermales Fluid aus einer rundlichen sehr porösen Struktur heraus, die auf einem säulenförmigen Schornstein sitzt. Es erinnert mich immer an den Sprudelstein in einem Aquarium. Diese Form wird als Bienenstock bezeichnet und erinnert tatsächlich an ein wildes Bienen- oder Wespennest. Manche Schornsteine sind aktiv, viele inaktiv, alle einige Meter hoch. Manche sind echte Schwarze Raucher; schwarzer Rauch kommt aus einer oder mehreren kleinen Austrittsstellen am Top heraus. Einen davon beproben wir in vergleichbarer Weise, auch hier bergen wir ein Stück des aktuellen Schornsteins und füllen mehrere Flaschen mit dem heißen Fluid. Die gemessene Temperatur beträgt 264 °C.
Die verbleibende Zeit des Tauchgangs wird für Exploration genutzt, und ein weiterer älterer, inaktiver Schornstein wird geborgen. Der neuseeländische Kollege Cornel de Ronde datiert diese hydrothermalen Schornsteine, um die zeitliche Entwicklung des gesamten Systems zu ergründen.
Als um 20:00 das ROV an Deck kommt, wartet bereits eine große Menschenansammlung hinter der Absperrung. Viele von uns bekommen endlich die erhofften Fluidproben für das Abendprogramm, alle wollen einen Blick auf die drei hydrothermalen Schornsteine in der Probenbox werfen. Die Stücke der Schornsteine gehen zunächst in den Kühlraum und werden einer nach dem anderen auf anhaftende Tiere untersucht. Ich werde sie mir morgen anschauen, habe jetzt nur einen kurzen Blick auf die glänzenden Sulfidkristalle an der Innenseite der Schornsteine geworfen. Jetzt müssen aber erst einmal die vielen Fluidproben bearbeitet werden. Zufrieden gehe ich ins Labor.
10. Januar 2017
"Es bleibt schwierig …", muss man wohl am Ende des Tages feststellen.
Der Morgen begrüßt uns mit Sonnenschein. Wind und Wellen haben scheinbar ein Einsehen, und so wird gegen 8:00 der Tauchroboter ausgesetzt. Die Hoffnung auf einen erfolgreichen Tauchgang mit zahlreichen Fluidproben am Ende des Tages ist groß. Schon bald nach Erreichen des Meeresbodens am kleineren der beiden Vulkankegel im Brothers-Arbeitsgebiet taucht das erste der vier Wärmefluss-Messgeräte im Kamerabild auf. Zunächst müssen alle vier Heizdecken eingesammelt werden, bevor die Probenahme beginnt.
Die nächste Heizdecke liegt höher am Hang des Vulkankegels. Bereits beim Aufstieg beginnt der Flug des ROVs unruhig zu werden. Immer wieder sehen wir die Bilder der Unterwasserkameras auf und ab wandern, völlig unvorhersehbar wird der Tauchroboter zur Seite gerissen. Schon vom bloßen Zusehen wird man fast seekrank. Offensichtlich ist hier eine starke Strömung, die am Verbindungskabel zwischen dem Schiff und dem Tauchroboter zerrt.
Relativ schnell finden wir die zweite und danach auch die dritte Heizdecke. Die Fluid-Austrittsstelle, die wir beproben wollen, taucht im Bild auf. Wird es dort später mit einer Probenahme klappen? Immerhin müssen wir eine Zeit lang ruhig mit dem Titan-Ansaugstutzen der Probennehmer in der Austrittstelle verweilen. Wird das bei der Strömung möglich sein? Aber zunächst muss die vierte Heizdecke aufgenommen werden. Sie liegt im Kraterinneren, noch ein Stück den Hang hinauf.
Wir sind wir am Kraterrand angekommen. Die Strömung ist so stark, dass der Tauchroboter trotz voller Leistung des Antriebs kaum vorankommt. Immer wieder wird das ROV am Kabel nach oben oder zur Seite gezogen, fast unkontrolliert tanzt es auf und ab. Schnell wird klar, dass es zu gefährlich ist, bei dieser Strömung in den Krater hinab zu tauchen. Das Verbindungskabel könnte über den Kraterrand gerissen werden und Schaden nehmen. Nein, die Entscheidung ist eindeutig. Die Heizdecke wird zurückbleiben müssen. Und auch im Hinblick auf eine mögliche Probenahme kommt ein klares NEIN. Der Tauchgang wird abgebrochen. Heute wird es nichts mehr mit Fluidproben.
Drei Niskinflaschen mit jeweils fünf Litern Volumen werden noch in der hydrothermalen Wolke gefüllt, die wir am oberen Kraterrand durchfliegen. Zumindest dieser Punkt des Tagesprogramms ist erfüllt.
Auf dem Weg zurück wird dann noch eine Eisenkruste beprobt, die das Sediment bedeckt. An einem kleinen Hügel sieht es vielversprechend aus. Auch hier ist die Strömung nicht gerade gering. Im Bild der Kamera tauchen Dutzende von kleinen Garnelen auf. Sie sind alle in gleicher Richtung zum Hang ausgerichtet. Offensichtlich versuchen sie, so den geringsten Strömungswiderstand zu haben. Mit großen Schwierigkeiten wird mit einem Muschelnetz eine Sedimentprobe samt Eisenkruste eingesammelt. Eine wichtige Probe im Bestreben, den Eisenkreislauf an diesen Hydrothermalquellen zu verstehen. Jetzt aber auftauchen.
Als das ROV an Deck ist, sind alle glücklich. Kein größerer Schaden ist am Tauchroboter entstanden. Nur eine der Niskinflaschen, die alle etwas seitlich am ROV angebracht sind, hat Schaden genommen.
Das tägliche Nachtprogramm mit unterschiedlichen Untersuchungen der Wassersäule beginnt heute schon am Nachmittag. Diejenigen, die nicht beteiligt sind, treffen sich nach dem Kaffee zum regelmäßigen Austausch im Besprechungsraum. Wir diskutieren die verschiedenen Optionen. Das Treffen schließt mit der Hoffnung, dass es morgen besser wird. Dann soll es in die nordwestliche Caldera gehen. Dort fällt der Kraterrand 500 m steil ab. Unsere Hoffnung ist, dass das ROV dort besser vor der Strömung geschützt ist.
Am Abend starten Målin und Benedikt vom Max-Planck-Institut für Marine Mikrobiologie noch ein paar Muschelexperimente. Im Kühlraum auf Deck 2 stehen Aquarien mit Vulcanidas insolata, eine der beiden Muschelarten an den Unterwassergeysiren am Kermadec-Inselbogen. Sie wurden in der Macauley-Caldera beprobt. Durch Zugabe von gelöstem Sulfid soll die Aktivität Sulfid-oxidierender Bakterien stimuliert werden. Sie leben als Symbionten in den Kiemen der Muscheln. In regelmäßigen Abständen nehmen wir Wasserproben und messen die Abnahme des Sulfidgehaltes. Wir sind gespannt, wie es ausgehen wird.
"Manchmal kommt es anders, als man denkt!" In der Nacht ist das Wetter umgeschlagen, starker Wind, hohe Wellen – Thema auch bei der morgendlichen Lagebesprechung beim Kapitän. An ein Aussetzen des Tauchroboters ist bei diesen Bedingungen nicht zu denken. Wir stehen im Hangar und diskutieren. Warten wir ab – WOW: Waiting On Weather – oder fahren wir ein Alternativprogramm? Welche Geräte können wir aussetzen? Und betrifft dies die Wissenschaftler an Bord, die sich gerade erst nach einer langen Nachtschicht in die Koje verkrochen haben? Eine Entscheidung für ein Alternativprogramm muss her, wir wollen den Tag ja bestmöglich für wissenschaftliche Fragestellungen nutzen.
Wir fahren in ein weiteres Hydrothermalgebiet, Kibblewhite, etwa zwei Stunden entfernt. Es war auch im Fahrtantrag als Alternative vorgesehen, eine Genehmigung liegt vor, um dort zu arbeiten. Zunächst erfolgt eine Kartierung des Meeresbodens, dann ein CTD Tow-Yo. Aus Kibblewhite gibt es bisher nur die Information über die Existenz einer hydrothermalen Wolke in der Wassersäule. Einen Tauchgang mit einem ROV gab es noch nicht. Unterwasserbilder werden wir heute zwar auch nicht liefern können, aber unsere Arbeiten können zumindest die hydrothermalen Aktivitäten bestätigen und ein wenig mehr Detail liefern durch die Kartierung des Meeresbodens. Und das ist für künftige Arbeiten dort sehr hilfreich.
Der Ausfall des Tauchgangs gibt unerwartet auch die Möglichkeit, kleinere Wartungsarbeiten, Reparaturen oder Umbauten an den wissenschaftlichen Geräten vorzunehmen. Im täglichen Einsatz bleibt kaum Zeit für solche Arbeiten. Einige der Fluidbeprobungsgeräte werden modifiziert. Wir wollen wieder bestmöglich für den nächsten Tauchgang vorbereitet sein.
Der Tag wird außerdem genutzt, um die gesammelten Daten und vielfältigen Informationen zu ordnen. Probenlisten werden aktualisiert, nicht nur für uns selbst, sondern auch für die Einreise nach Neuseeland.
Zum Nachtprogramm kehren wir wieder an den Brothers-Vulkan zurück.
8. Januar 2017
Tag 2 am Brothers-Vulkan. Heute steht der größere der beiden Vulkankegel auf dem Programm. Aber erst einmal müssen die gestern ausgebrachten Wärmeflussmessgeräte (von uns gerne als Heizdecken bezeichnet) am kleinen Vulkankegel eingesammelt werden. Danach geht es für etwa 500 m hangaufwärts zum Top des größeren Vulkankegels in 1200 m Höhe. Wir sehen Hangschutt, teilweise deutlich gebleicht durch Reaktion mit den aufsteigenden sauren heißen Lösungen. Schwefelablagerungen haben die kleineren Brocken zusammengekittet. Immer wieder sitzen Garnelen auf den Steinen oder schwimmen ganz nah durch das Bild der Kamera.
Nach und nach werden die Geräte für die Wärmeflussmessungen wieder ausgelegt für die neuen Messungen. Der Höhenmesser zeigt 1200 m Wassertiefe an und plötzlich nimmt uns dichter Rauch die Sicht. Wir sind offensichtlich in einer hydrothermalen Wolke. Als die Sicht aufklart, blicken wir auf den Kraterrand. Das ROV taucht in den Krater ab, teilweise sind vertikale Wände aus Lava zu sehen. Dann sind wir auf dem Kraterboden, etwa 30 m unterhalb des Kraterrands. Das Sediment dort ist bedeckt von Garnelen. Wir legen die letzte Heizdecke aus und steigen wieder auf. Kompakte Lavawände wechseln mit Aschelagen, beeindruckende Bilder.
Wir machen uns auf die Suche nach den Rauchern am Brothers-Vulkan, die etwas am Hang des Vulkankegels stehen. Die Positionen sind bekannt, so sollte es nicht mehr lange dauern. Doch wir suchen weite Teile des Nachmittags, fliegen über großflächige rostbraune Eisenkrusten, Hügel mit weißlich-gelblichen Schwefelausblühungen, und immer wieder Garnelen. Alles eindeutige Anzeichen hydrothermaler Aktivität, aber noch nicht einmal schimmerndes Wasser ist zu sehen.
Dann endlich! Wieder verschwindet die Sicht in weißlich-grauem Rauch. Man möchte sagen "Augen zu und durch!". Der Blick öffnet sich auf einen Hang, an dem aus zahlreichen Stellen weißer Rauch austritt. Die Strömung bläst den Rauch den Hang herauf, wodurch wir einen Blick auf den Meeresboden bekommen. Gebleichte Gesteine zeigen an, dass schwefelsaure Wässer dort mit den Gesteinen reagiert haben. Dies ist ein geeigneter Punkt für unsere Fluidprobenahme. Nacheinander werden die verschiedenen Geräte gefüllt. Im Vordergrund gibt es zusätzlich noch eine Stelle mit diffus austretenden Fluiden. Die Temperatur ist niedriger, und hier kann auch eine Fluidprobe für die mikrobiologischen Experimente von Katharina aus Hamburg genommen werden. Ein Stück weiter wird nochmals heißes Fluid beprobt. Damit ist für uns Fluidgeochemiker das Abendprogramm im Labor angerichtet.
7. Januar 2017
Es ist 20:00. Erwartungsvoll stehen wir auf dem Achterdeck und schauen gespannt zu, wie der Tauchroboter QUEST an Deck gehievt wird. Noch spannt eine Kette den hinteren Bereich der SONNE ab und verwehrt uns den Zutritt. Erst muss die Deckmannschaft das ROV sicher verzurren, noch führt die ROV-Besatzung einige Kontrollen durch. Dann ist es soweit, Volker Ratmeyer, der Leiter des ROV-Teams, entfernt die Kette und wir dürfen ans Gerät und unsere Proben bergen. Der Geruch von Schwefelwasserstoff breitet sich bereits auf dem Achterdeck aus. Nach zwei Tagen Transit haben wir endlich wieder Fluidproben! Die ersten Proben vom Brothers-Vulkan.
Das Arbeitsgebiet am Brothers-Vulkan ist eine Caldera, die sich etwa 7-8 km in Nordwest-Südost-Richtung und etwa 3-4 km in West-Ost-Richtung erstreckt. Der Meeresboden im Zentrum der Caldera liegt in 1850 m Tiefe. Zwei Vulkankegel mit hydrothermalen Quellen liegen am südlichen Rand, eine zweite große Region mit Dutzenden von aktiven und inaktiven Rauchern liegt am Nordwestrand der Caldera. Nach derzeitigem Kenntnisstand ist der Brothers-Vulkan das hydrothermal aktivste Gebiet am Kermadec-Inselbogen.
Den ganzen Tag über verfolgten wir den Tauchgang des ROVs. Der Tauchroboter ist auf etwa 1600 m Tiefe am östlichen Fuß des kleineren der beiden Vulkankegel gelandet. Nach und nach steigt das ROV den Hang hinauf. Das Ziel ist ein Plateau an der Vulkanspitze auf etwa 1330 m Wassertiefe. Von dort sind mehrere Austrittsstellen 60-90 Grad heißer Fluide bekannt.
Der Hang des Vulkans ist von Hangschutt bedeckt. Shrimps tauchen im Kamerabild auf. Sind sie ein erstes Anzeichen für hydrothermale Lösungsaustritte? Dann taucht schimmerndes Wasser auf, und wir sind sicher, auf dem richtigen Weg zu sein. Eine kleine Steilwand leuchtet weißlich-gelb – Schwefel! Auch hier steigt aus dem Meeresboden, aber auch aus einer Spalte am Hang schimmerndes Wasser auf. Schwefel hat das lose Gestein eines ehemaligen Hangrutsches miteinander verbacken. Weiter führt uns der Weg hangaufwärts. Mit Seepocken besetzte Flächen bestätigen die intensive hydrothermale Aktivität hier am Brothers-Vulkan.
Schließlich erreichen wir die Spitze des Vulkangebäudes. Ein Marker taucht im Bild auf – Nr. 24. Cornel de Ronde, unser neuseeländischer Kollege, bestätigt, dass er im Rahmen einer früheren Tauchfahrt abgesetzt wurde. Er markiert einen Unterwassergeysir. Wir beginnen mit unserer Probenahme, nehmen im Verlauf des Nachmittags an zwei verschiedenen Stellen unsere Fluidtemperaturen. In-situ-Messungen zeigen hohe Gehalte an Schwefelwasserstoff und Kohlendioxyd an und saure pH-Werte. Immer wieder schwimmen kleine Garnelen durch das Kamerabild, Seepocken bedecken Gesteinsbrocken. Es hat den Anschein, als müssten überall aus dem Meeresboden hydrothermale Lösungen austreten. Auch der viele Schwefel vermittelt den Eindruck eines sehr aktiven Hydrothermalfeldes.
Inzwischen ist es Nacht geworden. Der Schwefelwasserstoffgeruch erfüllt noch die Labore und den Flur. Meine Messungen zeigen die erwarteten hohen Konzentrationen an gelöstem Sulfidschwefel. Und der Geruch im Labor lässt mich an den Titel eines Buches von Salomon Kroonenberg denken: "Warum die Hölle nach Schwefel stinkt".
Wir haben den zusätzlichen Transittag genutzt, um die bisherigen Daten zusammenzutragen. Bei unserem nachmittäglichen Treffen stellen wir sie in kurzen Präsentationen vor. Und die Ergebnisse können sich sehen lassen.
Nach und nach tragen die verschiedenen Arbeitsgruppen vor. Präsentiert werden Daten zur Geologie des Meeresbodens, eine erste Bestandsaufnahme der Gesteinsproben, erste Daten zum Wärmefluss, die Auswertung der CTD-Stationen zur Lokalisierung der hydrothermalen Wolken in der Wassersäule, die ersten geochemischen Daten für die hydrothermalen Fluide, die Ergebnisse der mikrobiologischen Experimente und molekular-ökologischen Arbeiten an Bord und natürlich die ersten Erkenntnisse aus der Bearbeitung der Muscheln. Unterschiede und Gemeinsamkeiten zwischen den beiden Arbeitsgebieten werden aufgezeigt. Und auch wenn es vielfach ja erst vorläufige Daten sind, wird das Potential bereits sichtbar. Das macht Appetit auf die Arbeiten in den Heimatlaboren.
Und noch etwas wird sichtbar: der Mehrwert der interdisziplinär zusammengesetzten Arbeitsgruppe an Bord. Bereits aus den gezeigten vorläufigen Ergebnissen lassen sich die Verknüpfungen zwischen Geologie und Fluidchemie oder zwischen Fluidchemie und Mikrobiologie erkennen. Das zeigt wieder einmal sehr anschaulich, dass man ein Verständnis für ein solch komplexes System nur durch die intensive Zusammenarbeit der vielen verschiedenen Fachdisziplinen erreichen kann. Und da alle – buchstäblich – in einem Boot sitzen, sind die Wege kurz für wissenschaftliche Zusammenarbeit und Diskussion.
Am Nachmittag bekamen wir von unserem neuseeländischen Kollegen Cornel de Ronde auch einen kurzen Überblick über das neue Zielgebiet. Hier liegen bereits Ergebnisse vor, aber zahlreiche Fragen sind noch ungeklärt. Die Erwartungen bei allen Fahrtteilnehmern sind geweckt, nicht zuletzt durch die spektakulären Unterwasserbilder.
Inzwischen ist es später Abend geworden. Die SONNE dampft unserem dritten Zielgebiet am Brothers-Vulkan entgegen. Ich gehe noch einmal an Deck, lasse mir den Wind um die Nase wehen. Viele Kammertüren sind bereits geschlossen, ihre Bewohner haben sich vom Auf und Ab der Wellen in den Schlaf schaukeln lassen. Für morgen früh um 8:00 ist der nächste Tauchgang des Tauchroboters QUEST geplant.
Ein Vertikalprofil in der Wassersäule über der Haungaroa Caldera war die letzte Station des Nachtprogramms, die letzten Proben aus diesem Arbeitsgebiet. Einem südlichen Kurs folgend beginnt unser Transit ins dritte Arbeitsgebiet: der Brothers Vulkan. Der knapp 24 stündige Transit wird wieder genutzt, um Lücken in der existierenden Meeresbodenkarte zu füllen und geophysikalische Messungen durchzuführen. Diese Daten sind wichtig, um die geologische Entwicklungsgeschichte des Kermadec Inselbogens besser zu verstehen und rekonstruieren zu können.
Transit: ein Tag ohne neue Proben. Zeit um die letzten Proben aufzuarbeiten, die noch unbearbeitet sind, Zeit um die Ergebnisse aus Haungaroa zusammenzutragen, Zeit um Probenlisten zu aktualisieren, Zeit um Proben zu verstauen. Ab und an braucht man einen solchen Tag zwischen den intensiven Tagen im Arbeitsgebiet.
Auch müssen wir jetzt bereits an die Rückfahrt denken. Unsere Packlisten müssen überprüft und angemeldet werden, ebenso wie die Gefahrstoffe für den Rücktransport. Schon vor Tagen wurden die Transporte für die Fahrtteilnehmer in Auckland, dem Hafen am Ende der Fahrt, organisiert. Wer muss vom Schiff direkt zum Flughafen oder vom Schiff zum Hotel, wer muss dann einen oder zwei Tage später vom Hotel zum Flughafen und wann. Diese Daten werden an einen Agenten in Auckland gemeldet, der sich um die Logistik vor Ort kümmert. Viel Arbeit und Lauferei für Annika und Charlotte aus der Bremer Arbeitsgruppe um die Fahrtleiterin Andrea Koschinsky.
Und noch etwas ist möglich am heutigen Transittag: eine Führung durch den Maschinenraum. Der Leiter der Maschine, Achim Schüler, erwartet uns am Morgen im Hangar. Schon in der kurzen Einführung wird die Komplexität der Aufgaben der Maschinen-Besatzung klar. Wie erwartet, sind sie für den Betrieb der Motoren zuständig. Daneben aber auch für zahlreiche weitere Arbeiten, der tägliche Bedarf an Frischwasser muss gemacht werden, das Abwasser muss aufbereitet werden, der Abfall muss behandelt werden, und und und … Als wir in Nouméa einstiegen, sahen wir alle den Blauen Umweltengel an der Seite der SONNE. Auf unserem Rundgang heute, bekommen wir Einblicke, was dahinter steckt.
Nach diesen ersten Informationen tauchen wir ab in den Rumpf der SONNE. Vier Dieselgeneratoren produzieren die Energie für die Elektromotoren. Sie treiben die beiden Schiffsschrauben am Heck an, aber auch weitere versenkbare Schrauben und einen Jet-Propeller unter dem Rumpf der SONNE. Sie sorgen für die Stabilität des Schiffes und die präzise Positionierung während der Arbeiten mit wissenschaftlichem Gerät auf Station. Und natürlich versorgen die Dieselgeneratoren das gesamte Schiff mit Energie. Schwefelarmes Gas-Öl wird verfeuert, auch hier "winkt" der Blaue Engel.
Wir finden unseren Weg durch das Innere des Schiffes, vorbei an unzähligen Leitungen, Druckanzeigen, blinkenden Kontrolllampen und Schaltkästen. Alles ist sehr kompakt, jeder Platz ist ausgenutzt. Wir passieren Schleusen, die im Falle von Feuer oder Wassereintritt einzelne Abschnitte des Schiffes vom Rest abschotten. Dann erreichen wir den Windenraum. Die vielen Winden und Kräne, die zum Be- und Entladen und zum Aussetzen der wissenschaftlichen Geräte genutzt werden, wir sehen sie beim Betrieb an Deck. Aber hier im Bauch der SONNE stehen die großen Kabeltrommeln dafür. Die verschiedenen Drähte und Kabel gelangen über Umlenkrollen auf die verschiedenen Decks über uns. Der Platz hier im Rumpf des Schiffes sorgt für lange Lebensdauer, da sie geschützt sind von Salzwasser und Sonnenlicht.
Nach einstündiger Führung sind wir alle ziemlich beeindruckt von der Komplexität, die sich unter unseren Füßen verbirgt. Und noch etwas macht Eindruck: die Ruhe unter Deck. Nur im unmittelbaren Umfeld der vier Dieselgeneratoren brauchten wir den Gehörschutz. Vibrationen werden mit Gummipuffern abgefedert. Dadurch ist es nicht nur hier unten in den Maschinenräumen vergleichsweise ruhig, sondern wir wissen es auch in den Kammern während der Nachtruhe zu schätzen.
Am Nachmittag treffen wir uns wieder für den täglichen Austausch der wissenschaftlichen Ergebnisse und die Planung des kommenden Tages. Eine Nachricht hatte sich schon im Vorfeld des Treffens herumgesprochen: schlechte Wetterbedingungen für die Zeit unseres Transits und die geplante Ankunft im Arbeitsgebiet. Das könnte unsere Arbeiten beeinflussen. Auf unserem Treffen wird klar, dass wir aufgrund der erwarteten Wellenbedingungen nicht wie geplant am Freitag mit unseren Stationsarbeiten am Brothers-Vulkan beginnen können. Ein Alternativprogramm ist bereits ausgearbeitet. Der Transit wird um 24 Stunden ausgedehnt, die Route so geändert, dass wichtige Kartierarbeiten des Meeresbodens durchgeführt werden können. So kann die Zeit doch noch für wissenschaftliche Arbeiten genutzt werden. Wir alle werden ermahnt, die beweglichen Dinge in den Laboren und den Kammern zu verstauen oder sicher zu befestigen. Alle sind gespannt, wie sich der Abend und die Nacht entwickeln werden.
4. Januar 2017
Der heutige Tag war erneut der Exploration in der Caldera des Haungaroa Vulkans mit dem ROV Quest gewidmet.
Die Auswertung der Daten aus dem nächtlichen CTD Tow-Yo und aus der Kartierung hatten einerseits in der Wassersäule Anzeichen für hydrothermale Lösungen geliefert, und andererseits gab es in der bathymetrischen Karte eine Reihe von "verdächtigen" Strukturen, die als kleine Vulkankegel interpretiert werden könnten. Dieses Mal ging es in den Norden und Nordosten der Caldera in eine Wassertiefe von 1200 Metern. Dieses ist die größte Tiefe in der Caldera von Haungaroa, quasi der Meeresboden in der Vulkanstruktur.
Die ersten Bilder des ROVs zeigen vor allem Sedimente. Zum Rand der Caldera taucht vulkanisches Gestein auf, ehemalige Lavaströme oder auch am Hang abgerutsche Gesteinsblöcke. Zur Charakterisierung der chemischen und mineralogischen Zusammensetzung werden einige Gesteinsproben gesammelt.
Insgesamt drei verschiedene Zielregionen in der Caldera werden mit dem ROV angeflogen. Systematisch wird in der Tiefe, in der die CTD in der Nacht zuvor Anzeichen für eine hydrothermale Wolke registrierte, nach aktivem Hydrothermalismus gesucht. Aber keine aktiven Raucher werden gefunden, keine Muscheln, kein Hinweis deutet auf aktiven heiße Quellen. Ratlosigkeit breitet sich aus. Sharon, die amerikanische Kollegin, die in der Nacht zuvor den CTD Tow-Yo gefahren hat, wird geweckt, um nochmals auf die Auswertung der Daten zu schauen. Die Hinweise sind da, aber wir sind bis zum Ende des Tauchgangs nicht mehr erfolgreich. Aber das ist Exploration in einem nahezu unbekannten Gebiet. Nicht immer ist es so erfolgreich, wie wir es die vergangenen Tage hier in Haungaroa erlebt haben.
Während des täglichen Treffens aller Wissenschaftler werden die Ergebnisse diskutiert. Auch wenn es hier vermutlich noch viel zu entdecken gibt, sind sich alle einig: wir verlassen Haungaroa nach dem Nachtprogramm morgen früh. Das nächste Zielgebiet ist der Brothers Vulkan, in südwestlicher Richtung gelegen.
Am Abend beginnt ein weiteres Highlight an Bord: das Tischtennis-Turnier. Es werden Doppel gespielt, wobei die Zweierteams für jede Runde neu ausgelost werden. Wissenschaftler und Besatzung, jeder kann mitmachen. Das ist immer großer Spaß, weil sich natürlich das Schiff, die Tischtennisplatte und man selbst auch manchmal unvorhersehbar bewegen. Da geht der ein oder andere Punkt dann auf den Meeresgott Poseidon. Aber das Ziel ist ja vor allem der gemeinsame Spaß und der Ausgleich zur Arbeit an Bord, als den Sieg davon zu tragen.
3. Januar 2017
"Zufrieden klingt für mich der Tag aus, auch in freudiger Erwartung auf neue spannende Unterwasserbilder und weitere Proben beim nächsten Tauchgang morgen.", so schrieb ich gestern Abend. Und in der Tat hat der heutige Tag uns nicht enttäuscht.
Die Kombination aus den Daten der Meeresbodenkartierung und die Informationen aus dem Tow-Yo über das Auftreten hydrothermaler Wolken innerhalb der Caldera von Haungaroa haben uns zielgenau an neue Austrittsstellen hydrothermaler Fluide gebracht. Das Zusammenspiel der verschiedenen Arbeitsgruppen liefert den entscheidenden Mehrwert zum Erfolg.
Diesmal an anderer Stelle in der Caldera sehen wir inzwischen vertraute Bilder: üppig mit Seepocken bewachsene Säulen-förmige Strukturen, Muscheln und Seepocken auch am Meeresboden. Und zwischendrin steht ein kleiner Schornstein. Er ist etwa 60 cm hoch. Aus seiner Spitze strömt heißes Fluid aus, welches sich Schlieren-förmig im Wasser verteilt. Mehr noch: Gasblasen treten ebenfalls aus, verschwinden in wenigen Momenten wieder. Dies sind charakteristische Anzeichen dafür, dass die Fluide im Untergrund kochen. Alle sind begeistert.
Natürlich nehmen wir Fluidproben. Dabei kommen verschiedene Geräte zum Einsatz, manche sind Gas-dicht, andere nicht. In unterschiedlichen Höhen über der Austrittsstelle des heißen Fluids werden weitere Proben genommen. Sie dienen vor allem der Untersuchung der Ausbreitung der austretenden heißen Lösungen im Meerwasser. Im Speziellen geht es dabei um die Frage, ob und wie viel wichtige Nährstoffe (z.B. das Eisen) die hydrothermalen Lösungen in die Oberflächen-nahen Bereiche des Meeres eintragen. Hier greifen die verschiedenen Fachdisziplinen ineinander: Geologie, Geochemie, Biologie, Ozeanographie. Diese und ähnliche Fragen lassen sich nur durch interdisziplinäres Arbeiten klären. Erneut wird deutlich, warum so viele verschiedene Arbeitsgruppen an Bord sind. Alle haben ein gemeinsames Ziel: die Klärung der Herkunft der Fluide, ihrer Verbreitung im Ozean und der Nutzung der Inhaltsstoffe durch die Lebewelt.
2. Januar 2017
Schon bald nach Beginn des ROV Tauchganges sehen wir die ersten kleinen gelblichen bis rostbraunen Mini-Raucher. Offensichtlich gab es hier in vergangenen Zeiten Fluidaustritte, aber jetzt ist alles gut durchoxidiert. Kurz danach tauchen vollkommen unerwartet Pillowlaven und große Lavaröhren auf, die man sonst eigentlich nur von Mittelozeanischen Rücken her kennt. Vor allem die Geologen sind begeistert von diesen Bildern.
Den Vulkanhang hinauf tauchen dann wieder von Ventfauna dicht besiedelte Regionen auf, ein Bild, welches wir gestern bereits an zwei anderen Stellen in Haungaroa hatten. Auch hier sehen wir wieder unzählige Seepocken, Muscheln, Krebse und sogar Röhrenwürmer. Und deutlich sichtbar tritt warmes Fluid aus, sog. schimmerndes Wasser. Es ist um die 20° Celsius warm, ist aber die beste Stelle bisher. Wir nehmen einen Satz Fluidproben und natürlich biologische Proben.
Gegen Mittag steigt die Spannung, denn wir nähern uns einer der vielversprechendsten Regionen auf der neuen Unterwasserkarte von Haungaroa. Und dann sehen wir die ersten Schornsteine. Sie sind klein, nur einen halben Meter hoch stehen sie im Wasser und sind umrahmt von einem Feld von Seepocken und Muscheln. Am Top dieser Raucher tritt klares heißes Fluid aus. Schnell wird gewettet – Temperaturbingo – wie hoch wohl die Temperatur des austretenden Fluids ist. Wir liegen alle zu tief: 229° Celsius werden gemessen. Wir Fluidgeochemiker sind natürlich begeistert. Sofort wird beprobt, und es werden in-situ Messungen der Gase gemacht. Und es ist noch Zeit für die Suche nach weiteren heißen Fluidaustrittsstellen. Wir werden noch mehrfach fündig, können aber nur noch an einer weiteren Stelle Proben nehmen, dann sind alle Probengefäße gefüllt. Die Koordinaten sind notiert, und damit hat der nächste Tauchgang morgen bereits erste Ziele. Und natürlich müssen auch noch weitere biologische Proben genommen werden.
Während wir im Labor beginnen, die Fluidproben zu verarbeiten, es ist inzwischen nach 20:00, beginnt das Nachtprogramm. CTD TOW-YO soll zur Exploration eingesetzt werden. Technische Probleme der letzten Nacht waren tagsüber behoben worden. Jetzt kann das Gerät wieder eingesetzt werden.
Zufrieden klingt für mich der Tag aus, auch in freudiger Erwartung auf neue spannende Unterwasserbilder und weitere Proben beim nächsten Tauchgang morgen.
1. Januar 2017
Zunächst wünsche ich allen Lesern ein frohes Neues Jahr. Es war schon sehr besonders, den Jahreswechsel auf See zu verbringen und das neue Jahr 12 Stunden früher als in Münster begrüßen zu dürfen.
Für den ersten Tag des Jahres war der erste Tauchgang des ROVs im neuen Arbeitsgebiet geplant. Haungaroa, noch gibt es keine Bilder des Unterwasservulkans und den damit verbundenen hydrothermalen Lösungsaustritten. Es ist also eine Tauchfahrt ins Ungewisse. Und wir werden belohnt. An gleich mehreren Stellen zeugt dichter Bewuchs von Seepocken und die Anwesenheit von Muscheln und Schnecken den Austritt diffuser Fluide an, blühendes Leben in gut 600 m Wassertiefe. Alle sind sehr zufrieden, auch am Ende des Tauchganges über die erhaltenen Proben. Und am Abend beginnen dann wieder die Arbeiten in den Laboren, während parallel dazu weiter die Kartierung des Meeresbodens läuft. Alle sind schon gespannt auf die Bilder des morgigen Tauchganges, wenn wir in eine andere Ecke der eher rundlichen Caldera von Haungaroa vorstoßen.
31. Dezember 2016
Der letzte Tag des Jahres. Wir befinden uns auf dem Transit von Macauley nach Haungaroa. Es ist sonnig, aber der Wind hat aufgefrischt. Nach den vergangenen Tagen mit ruhiger See sehen wir jetzt Schaum-gekrönte Wellen. Die Kabinen auf dem 2. Deck liegen nahe der Wasseroberfläche. Beim aktuellen Wellengang quirlt das Wasser manchmal in die Öffnung der Bullaugen hinein, das erinnert sehr an den Blick in eine Waschmaschine.
Auf unserem Transit läuft eine Kartierung des Meeresbodens. Die Biologen arbeiten noch intensiv an den gestrigen Proben. Im unserem Fluidlabor sind nur noch wenige Restarbeiten zu machen, wir warten auf neue Proben. Zeit für mich, eine viel gestellte Frage aufzugreifen: "Wie läuft denn eigentlich das tägliche Leben auf dem Forschungsschiff ab?" Oder wie besorgte Eltern ihre erwachsenen Kinder fragen würden: "Kind, schläfst du auch genug?" und "Kind, isst du auch genug?".
Auch wenn an Bord, wie bereits beschrieben, der Tagesablauf von uns Wissenschaftlern ja in entscheidendem Maße von den Forschungsaktivitäten bestimmt wird (Stichwort: Tages- und Nachtprogramm), müssen auch wir schlafen und essen.
Fast alle Wissenschaftler haben eine eigene Kabine, die Kammer. Diese ist zweckmäßig ausgestattet mit einem Bett, einem Schreibtisch, Stauraum im Schrank und in Regalen, ein eigenes Bad mit Dusche und WC. Steht die Tür offen, ist man wach und empfänglich für Besuch, ist die Tür geschlossen, möchte man nicht gestört werden. Dies ist wichtig, weil ja manchmal die ganze Nacht durchgearbeitet wird und man danach ein paar Stunden Schlaf braucht. Aus diesem Grund ist auch auf den Fluren, auf denen die Besatzung ihre Kammern hat, Ruhe angesagt. Die Besatzung arbeitet im Schichtbetrieb, und Ruhezeiten sind selbstverständlich und zu respektieren.
Über den Tag verteilt gibt es fünf Mahlzeiten zu festen Zeiten: Frühstück von 7:00-8:00, erste Kaffeepause von 10:00-10:15, Mittagessen von 11:30-12:30, zweite Kaffeepause von 15:00-15:15 und das Abendessen von 17:30-18:30. Es gibt eine große Messe auf Deck 4 für die Besatzung und die Wissenschaftler. Zu den drei Hauptmahlzeiten gibt es immer warme und kalte Speisen. Am Buffet verteilt René, der Steward, die warmen Speisen. Heute Mittag gibt es Eintopf, es ist Samstag. Freitags ist Fischtag und am Donnerstag, dem Seemanns Sonntag, gibt es immer Eis zum Nachtisch. Lecker ist es immer. Und auch für die Vegetarier wird gesorgt. Die Messe ist hell und freundlich eingerichtet, große Fenster erlauben den Blick aufs Meer. Heute, wie gesagt, ist die See ein wenig rauer als die Tage zuvor.
Als Ausgleich für die Arbeit und vielleicht auch das viele gute Essen gibt es einen Fitnessraum. Auch eine Sauna ist an Bord. Die Bibliothek lädt ein zum Lesen oder für einen Filmeabend. Eine Lounge rundet das Bild ab, hier trifft man sich zum Kaffee nach dem Essen oder in gemütlicher Runde am Abend. Für die Wäsche gibt es auf jedem Deck Waschmaschinen und Trockner. Und ganz wichtig: der Store. Dreimal in der Woche öffnet René den Shop, hier gibt es Getränke, Tabak, Süßwaren, Toilettenartikel und Souvenirs mit dem Logo der SONNE. In Summe lässt sich also sagen, dass die spannende Wissenschaft in einen sehr angenehmen Rahmen eingebettet ist.
Einzigartig jedoch sind die Momente auf dem Peildeck weit oben über dem Arbeitsdeck: ob beim Sonnenaufgang oder beim Sonnenuntergang oder unter dem Sternenhimmel.
30. Dezember 2016
Deutlich erfolgreicher war eine weitere Beprobung eines Muschelfeldes. Ein Netz voll mit den bis zu 30 cm langen Muscheln der Art Gigantidas gladius begeistert nicht nur die Wissenschaftler um Christian Borowski vom Max Planck-Institut für Marine Mikrobiologie in Bremen. Sie erforschen die Symbiose zwischen den Muscheln und verschiedenen Bakterien, die in den Kiemen der Muscheln leben. Und auch wenn der "Fang" des gestrigen Tages noch nicht vollständig bearbeitet ist, sind diese neuen Proben sehr willkommen.
Gegen 16:00 heißt es dann Abschied nehmen von der Macauley Insel. Ein kurzer Regenschauer zieht durch, so dass wir das Arbeitsgebiet zunächst bei eher trübem Wetter verlassen. Es klart aber bis zum Abend auf, gerade rechtzeitig für ein Erlebnis der besonderen Art. Das Schiff hat Curtis Island erreicht, eine kleine Vulkaninsel in Sichtweite südwestlich von Macauley gelegen. Direkt daneben liegt Cheeseman Island. Sie bilden fast so etwas wie ein Tor. Wir stoppen, eine Drohne steigt auf und liefert Bilder der Insel. Deutlich erkennbar ist die Caldera. Die Gesteine im Kraterinneren sind ausgebleicht, ein kleiner See erscheint im Bild. Als die Drohne zurückkehrt, bekommen wir noch schöne Bilder des Schiffes aus der Vogelperspektive. Und weit hinten am Horizont ist Macauley Island zu erkennen.
Nach diesen beeindruckenden Bildern nehmen wir Kurs auf das zweite Arbeitsgebiet unserer Forschungsfahrt: Haungaroa, es ist noch relativ unerforscht. Bisherige Arbeiten der neuseeländischen Kollegen sprechen für die Anwesenheit von zwei hydrothermalen Quellen in ca. 660 m Wassertiefe. Bisher gab es noch keinen Einsatz eines Tauchroboters in Haungaroa. Alle Wissenschaftler an Bord sind sehr gespannt, was uns erwartet. Aber erst einmal liegt ein längerer Transit vor uns (15 Stunden), gefolgt von einer Kartierung des Meeresbodens. Dies wird uns über den Jahreswechsel bringen.
29. Dezember 2016
Den ganzen Tag über beobachten wir auf den Bildschirmen in den Laboren und natürlich auf der Großbild-Leinwand im Besprechungsraum den Tauchgang des ROVs. Exploration steht auf dem Programm, bisher nicht bekannte Bereiche der Caldera sollen erkundet werden. Vor allem wollen wir versuchen, eine weitere Austrittsstelle hydrothermaler Fluide zu finden. Im CTD TOW-YO vorgestern Nacht war eine zweite hydrothermale Wolke in der Wassersäule aufgetaucht. Auch auf der Karte des Meeresbodens ist in 690 m Wassertiefe am Rande der Caldera ein kleiner Vulkankegel auszumachen. Gibt es hier einen zweiten Unterwassergeysir in der Macauley Caldera?
Zunächst versetzt das ROV vier Messgeräte, die den Wärmefluss aus dem Erdinneren messen: heat blankets – "Wärmedecken". Es sind orange-rote runde Matten, etwa 1 m im Durchmesser, die auf den Meeresboden abgelegt werden. Fahrradschläuche mit Metall gefüllt dienen der Beschwerung, um einen dichten Abschluss zum Meeresboden zu garantieren. Ein Temperatursensor ist auf der Decke angebracht, ein zweiter unter ihr. Aus dem Temperaturunterschied kann der Wärmefluss berechnet werden, geothermische Energie.
Danach beginnt die Suche nach dem Unterwassergeysir. Das ROV steuert zunächst den Gipfel des kleinen Vulkankegels an, findet aber keine Anzeichen einer aktiven hydrothermalen Quelle. Nun wird eine Umrundung der Caldera auf 690 m Wassertiefe durchgeführt. Immer wieder tauchen Felder mit toten Muscheln auf, Anzeichen früherer Austritte hydrothermaler Lösungen. Auch ein Bereich mit lebenden Muscheln wird gefunden. Hier treten sicherlich die entsprechenden Lösungen aus, welche die Nahrungsgrundlage der mit den Muscheln symbiontisch lebenden Bakterien bilden, auch wenn die Lösungen weder mit dem Auge, noch durch chemische Signale "sichtbar" sind. Muscheln und Fluide werden beprobt. Aber dies kann nicht die Quelle der hydrothermalen Wolke der vorgestrigen Nacht sein. Und so geht die Suche weiter bis zum Abend, leider ohne Erfolg. Eine letzte Chance wird der morgige Tauchgang bieten.
28. Dezember 2016
Wir sind nach wie vor an der Macauley Caldera, die gleichnamige Insel liegt nur einen Steinwurf vom Schiff entfernt. Im Sonnenlicht sind zahlreiche Gesteinslagen erkennbar, sie sind Zeugen verschiedener vulkanischer Ereignisse.
Der gestrige ROV-Tauchgang war sehr erfolgreich mit Proben für nahezu alle Arbeitsgruppen. Gegen 20:00 kam der Tauchroboter an Deck. Nachdem das Gerät sicher vertäut ist, dürfen wir Wissenschaftler herantreten, um die verschiedenen Probenahmegeräte und natürlich unsere Proben zu holen. Die Symbiose-Gruppe vom Max-Planck-Institut für Marine Mikrobiologie bringt große, mit Seewasser gefüllte Eimer für die Tiefseemuscheln. Gesteinsproben und Blöcke elementaren Schwefels werden aufgeteilt, Proben auch für mich.
Und dann gibt es die heiß erwarteten Fluidproben. Vier verschiedene Probenahmegeräte sind zum Einsatz gekommen. Im Vorfeld trafen wir Fluidgeochemiker uns nochmals im Hangar, um final die Fluidbedarfe der verschiedenen Arbeitsgruppen sowie die Reihenfolge der Beprobung abzustimmen. Jetzt ist es soweit, und die Proben werden aufgeteilt. Höchste Konzentration ist angesagt, um möglichst kein Fluid zu verlieren. Außerdem muss verhindert werden, dass das Fluid kontaminiert wird oder sich beim Aufteilen in der Zusammensetzung verändert.
Sobald der Tauchroboter an Deck war, begann bereits das Nachtprogramm mit CTD und Kranzwasserschöpfer. Es war wie die Nacht zuvor: erst ein Tow-Yo und dann ein Vertikalprofil direkt über dem Unterwassergeysir. Dementsprechend wird wieder durchgearbeitet, um die vielen Proben direkt zu messen und für weitere Analysen in den Heimatlaboren zu konservieren. Ich gönne mir ein Stündchen Ruhe zwischendurch, werde um 5:30 geweckt, um zur Ankunft der neuen CTD wieder bereit zu stehen. Meine Laborarbeit ist gegen 7:00 beendet, gerade pünktlich zum Frühstück. Um 7:30 lege ich mich zufrieden in meine Koje, bis der Wecker um 11:00 klingelt für mein Tagesprogramm. Während ich im Labor noch einige Proben von gestern nachbereite blicke ich auf die faszinierenden Unterwasserbilder des gerade laufenden ROV-Tauchgangs. Wir sind noch einmal zum Schwefelberg gefahren, um weiteres Fluid zu beproben. Und gerade läuft die Beprobung eines Muschelfeldes. - Jetzt, kurz vor dem Abendessen, ist alles für mein abendliches Laborprogramm vorbereitet.
27. Dezember 2016
Macauley Caldera, die Stationsarbeit in unserem ersten Arbeitsgebiet ist in vollem Gange, und das rund um die Uhr. Der Schlaf wird soweit es geht reduziert.
Am Vormittag sitze ich mit zahlreichen Fahrtteilnehmern im Konferenzraum auf Deck 4. Wir blicken gebannt auf eine Leinwand, auf welche die verschiedenen Kamerabilder des Tauchroboters (ROV) übertragen werden. Im Steuercontainer auf dem Achterdeck der SONNE sitzen zwei Piloten, die das ROV fliegen, und zwei Wissenschaftler. Die Kommunikation im Container wird in unseren Raum übertragen, und wir können per Funk mit den Wissenschaftlern im Steuercontainer sprechen.
Zerbrochene Muschelschalen, gelblich-bräunlich gefärbte Sedimente und Gesteinsbruchstücke deuten auf abgerutschtes Material am Hang des Unterwasservulkans hin. Das ROV bewegt sich langsam diesen Hang aufwärts. Mineralkrusten bedecken das Sediment an manchen Stellen. Wir versuchen eine Probe für geochemische Analysen zu nehmen, aber die Krusten sind zu dünn für den Roboterarm. Wir müssen mit einer Schaufel wiederkommen.
Weiter hangaufwärts tauchen Bereiche mit großen Mengen an leeren Muschelschalen auf, ein Muschelfriedhof. Die Biologen an Bord vermuten, dass hier einstmals hydrothermale Fluide austraten. Sie lieferten vormals die Nahrung für die mit den Muscheln symbiontisch lebenden Bakterien.
25. Dezember 2016
Frohe Weihnachten von See. Die Vorbereitungen in den verschiedenen Arbeitsgruppen laufen auf Hochtouren. In der kommenden Nacht werden wir den Kermadec Inselbogen erreichen, auf der Höhe von Raoul Island. Die Nachtstunden werden für eine Kartierung des Meeresbodens genutzt werden, sie dient der Vervollständigung bereits existierender Meeresbodenkarten der neuseeländischen Kollegen. Um 7:00 erreicht die SONNE dann das erste Einsatzgebiet des Tauchroboters: Macauley Caldera, untermeerische Relikte eines Vulkans, an dessen einer Flanke die Macauley Insel liegt. Diese ist ein Naturschutzgebiet, Brutgebiet zahlreicher Meeresvögel. Die untermeerische Caldera ist in ca. 300m Wassertiefe durch Austritte heißer schwefelsaurer Lösungen gekennzeichnet, sie werden im Zentrum unserer Forschungsarbeiten in den kommenden Tagen stehen.
Der 1. Weihnachstag hat für manche Arbeitsgruppen bereits am Vormittag die ersten Proben gebracht. Mit dem Kranzwasserschöpfer wurden außerhalb unseres eigentlichen Arbeitsgebietes aus verschiedenen Tiefen Wasserproben genommen. Hiermit sollten vor allem die Messgeräte konditioniert werden, einige Messmethoden nochmals mit realen Proben überprüft werden. Außerdem wurden Daten über die Schallwellenausbreitung in der Wassersäule aufgenommen, wichtige Informationen für die künftige Navigation der wissenschaftlichen Geräte unter Wasser.
Das Mittagessen ist eine willkommene Unterbrechung und wiederum sehr festlich: Gänsebraten mit Rotkohl und Knödeln.
24. Dezember 2016
Es ist soweit: Heilig Abend auf See. Während es für die Schiffsbesatzung nicht ungewöhnlich ist, ist es für die meisten Wissenschaftler, selbst die "Vielfahrer" mit mehreren Ausfahrten pro Jahr, dann doch das erste Mal. In den Laboren wird morgens noch fleißig gewerkelt, aber hier und dort hängt Weihnachtsdekoration oder steht sogar ein Tannenbaum.
Am frühen Nachmittag treffen sich die Arbeitsgruppenleiter zu einer Planungssitzung des wissenschaftlichen Programms für die ersten Tage im Zielgebiet, welches wir in knapp zwei Tagen erreichen werden. Wenn wir "auf Station" sind, also im Arbeitsgebiet, wird ein 24-Stunden Arbeitsprogramm gefahren. Tagsüber zwischen 8:00 und 20:00 wird der Tauchroboter QUEST 4000 eingesetzt, während nachts mit CTD und Kranzwasserschöpfer die hydrothermalen Wolken in der Wassersäule verfolgt und beprobt werden ("plume hunting"). Alle Wünsche sollen berücksichtigt werden, das erfordert eine sehr gute Planung. Aber wir gehen zufrieden auseinander. Der Stationsplan steht, er muss aber noch mit dem Kapitän abgestimmt werden. Hierzu gibt es jeden Morgen eine Lagebesprechung, auf der die Fahrtleiterin der Schiffsführung gegenüber unsere Planung vorstellt. Aber nun ist erst einmal Heilig Abend.
Um 15:00 gibt es Kaffee und Kuchen. Die Messe ist weihnachtlich geschmückt, die Tische sind festlich gedeckt. Und es gibt ein reichhaltiges Kuchenbuffet mit Torte, Kuchen, Stollen und Keksen. Weihnachtmusik läuft im Hintergrund. Zum Geschenke-Wichteln müssen wir würfeln. Nach mehreren "Fehlversuchen" dürfen auch wir an unserem Tisch uns jeder ein Geschenk aussuchen. Wir alle haben viel Spaß beim Auspacken und sind von den tollen und ideenreichen Geschenken begeistert. Und dann gibt es noch eine große Tüte für jeden "vom Schiff" mit Geschenken und Süßigkeiten, völlig unerwartet und einfach schön.
Am Abend wird es – klassisch – Kartoffelsalat und Bockwurst geben, und danach eine weihnachtliche Ice Breaker-Party, Zeit um ins Gespräch zu kommen und etwas Festtagsstimmung zu genießen.
23. Dezember 2016
Seit gestern dampfen wir mit 12 Knoten von Noumea aus in südöstlicher Richtung zum Arbeitsgebiet. Das Auf und Ab des Schiffes, obwohl gar nicht so schlimm, ist für einige Fahrtteilnehmer doch zu viel. Sie sind seekrank und fehlen bei den Mahlzeiten.
Ein erstes Treffen aller Wissenschaftler wird zur Kurzvorstellung der Ziele und geplanten Arbeiten genutzt. Die Breite der Themen ist sehr groß und reicht von der Kartierung des Ozeanbodens über die Beprobung und Bearbeitung von Gesteinen und heißen Fluiden bis hin zur Erforschung der Lebewelt an den Unterwassergeysiren. Sehr schnell wird deutlich, dass viele Wünsche unter einen Hut gebracht werden müssen. Kein leichter Job für die Fahrtleiterin, Prof. Koschinsky von der Jacobs-University Bremen. Im Nachgang zu diesem eher allgemeinen Arbeitstreffen folgen bis in den Abend hinein weitere Besprechungen in kleineren Gruppen. Viele Arbeitsgruppen möchten die Unterwassergeysire beproben, sind an den heißen Fluiden der
Vor dem Zubettgehen stellen wir alle unsere Uhren um eine Stunde vor. Wir verlassen die Zeitzone von Noumea und sind Münster dann 11 Stunden voraus.
22. Dezember 2016
Die erste Nacht an Bord war gut, aber kurz. Habe den Jetlag doch noch nicht ganz überwunden. Wir liegen noch in Noumea im Hafen, aber das Auslaufen ist für 9:00 geplant.
Bis zum Frühstück ist noch Zeit, eine Frage anzusprechen, die in den vergangenen Wochen immer wieder gestellt wurde: Warum fahrt ihr denn über Weihnachten und Neujahr?
Klar, eine Forschungsfahrt über die Feiertage ist auf den ersten Blick nicht besonders attraktiv, aber das war dann doch für niemanden der Grund, nicht teilzunehmen. Wir haben lange auf diese Gelegenheit gewartet, hatten unsere Schiffszeit lange bewilligt. Und jetzt freuen wir uns, dass es endlich losgeht.